Recyclinghof wird erweitert

Von 
Plan: AWMT
Lesedauer: 
© Plan: AWMT

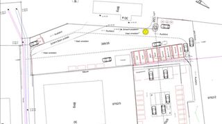
Main-Tauber-Kreis. Der Recyclinghof in Lauda-Königshofen wird in Richtung Bahngelände erweitert. Dem stimmten die Mitglieder des Verwaltungs- und Finanzausschusses des Kreistags bei ihrer Sitzung am Mittwoch in Tauberbischofsheim einstimmig zu. Die Kosten werden auf 370 000 Euro geschätzt. Sowohl die Ein- und Ausfahrt werden durch einen Kreisverkehr separat geregelt und damit verbessert als auch der Einwurf von Sperrmüll, Grüngut, Altholz und Bauschutt über ebenerdige Container erleichtert. Die mühsame Entsorgung von Sperrmüll über eine Treppe in den Container entfällt damit. Außerdem werden die Kapazitäten für die Annahme von Wertstoffen und die Öffnungszeiten erweitert. Für die Mitarbeiter wird ein Bürocontainer mit Sanitärbereich aufgestellt. Landrat Christoph Schauder hob die gute Zusammenarbeit mit der Stadt Lauda-Königshofen hervor, die das Erweiterungsgelände erworben hat. Der Landkreis wird nach der Fertigstellung dafür eine jährliche Pachtgebühr entrichten. Plan: AWMT

Mehr zum Thema

Martin-Schleyer-Gymnasium

Mit verträglichen Lernbedingungen zum entschleunigten Abitur

Veröffentlicht
Von
Diana Seufert
Mehr erfahren
Sitzung in Gerlachsheim

Wahlmarathon bei den Grünen Main-Tauber

Veröffentlicht
Von
bg
Mehr erfahren

Copyright © 2025 Fränkische Nachrichten